Svijet
Ovo su najodvratniji insekti na svijetu (FOTO/VIDEO)

Pored toga što djeluju zastrašujuće, insekti koje ćemo vam predstaviti godišnje diljem svijeta ubiju na tisuće ljudi
Ovi insekti su opasni koliko i odvratni! Znate li da na svijetu postoji između 1,4 i 1,8 milijuna vrsta insekata? Iako je većina potpuno bezopasna po ljude, postoje i vrste koje su smrtonosne. Neke vrste, iako nisu smrtonosne, mogu uzrokovati razne bolesti.
Telegraf.rs predstavlja nekoliko najstrašnijih kukaca koje bi bilo dobro izbjegavati po svaku cijenu.
Botfly
Određene vrste mušica iz obitelji “Oestridae” razmnožavaju se tako što što postave jajašca u životinje ili ljude.

Po izleganju, one parazitiraju na tijelu domaćina. Mogu narasti do nekoliko centimetara. Ovi crvi mogu se razviti i u vašem mozgu. U ovom video klipu (za koji vas upozoravamo da ga ne gledate ako imate slab želudac), možete pogledati kako izgleda vađenje ovih crva iz ljudskog, i iz tijela životinja.
http://www.youtube.com/watch?v=39NJW7kER_E
Neke ličinke ovih mušica prenose i komarci i to je razlog zbog kojeg su one rasprostranjene. Ovi crvi se nekad mogu izvaditi poput bubuljice, ali je u nekim slučajevima obavezna kirurška intervencija.
Azijski stršljen
Azijski ili Japanski stršljen može biti izuzetno opasan stršljen koji leti brzinom do 60 kilometara na sat, napada pčele, ali i ljude. Od početka ove godine u Kini su usmrtili 42 osobe i u bolnicu poslali više od 1.600 ljudi.
Ako mislite da je to daleko od nas podsjetit ćemo vas da su ovi divovski stršljenovi stigli u Europu, a da je njihovo prisustvo zabilježeno i u našoj regiji.

Insekti koji mogu narasti i do osam centimetara dužine, dvostruko su veći od domaćih stršljena i predstavljaju veliku opasnost.

Ubodi stršljena ostavljaju rane koje nalikuju na rupe od metka, a u Kini je na pojedinim žrtvama zabilježeno i po nekoliko stotina uboda.
Afričke pčele ubojice
Za stvaranje ovog smrtonosnog insekta odgovoran je čovjek. Naime, ova pčela je stvorena 1957. godine, u sklopu projekta sparivanja europske pčele i afričke medonosne pčele, a taj eksperiment izvodili su brazilski znanstvenici.

Ipak, dogodilo se nešto nepredviđeno. Većina pčela je pobjegla, a zatim su rojevi iz Brazila krenuli prema Srednjoj Americi, a stigli su i do jugozapadnog dijela SAD-a.
http://www.youtube.com/watch?v=IQlIi61EUmo
Ako vas ova pčela ubode, ona neće ostaviti samo svoj otrov u vama, već će ostaviti i mirisni feromon koji vas obilježi kao metu i tako signalizira drugim pčelama da vas napadnu.
Ljudsko tijelo može izdržati 14 uboda pčela za svaki kilogram tjelesne mase prije nego što život bude ozbiljno ugrožen. Poznato je da roj ovih pčela može ubode metu 500 puta za 30 sekundi. Do sada je registrirano više od 1.000 smrtnih slučajeva koje su uzrokovale ove ubojite pčele.
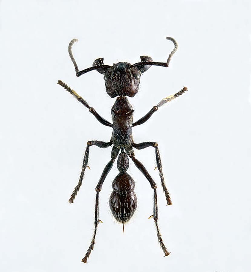
Metak mrav
Ovi mravi, čije je stanište u Južnoj Americi, dobili su ovo ime zbog toga što su njihovi ugrizi toliko bolni da vam se čini kao da vas je pogodio metak.

Zato se i zovu tako. Koliko su opasni govori podatak da ih neka plemena koriste kao dio inicijacije za mladiće. Mladići moraju izdržati 10 minuta s rukavicama u kojima se nalaze bijesni mravi.
Oni bol opisuju identičan kao kada stavite ruku u vatru! Otrov je toliko opasan da će im trebati dani da se oporave od šoka, a tijelo će im se neartikulirano grčiti!
Bube ubojice
Ove bube nisu smrtonosne zbog otrova – one su opasne jer zaraze ljude s Čaga bolešću. Ovi insekti ne umiru nakon ugriza, tako da samo jedna buba može zaraziti veliki broj ljudi.

Bube se sakrivaju u kućama i napadaju ljude dok spavaju. Uglavnom grizu mekano tkivo na usnama i očima. Ipak, bolest ne prenose ugrizom, već izmetom koji ulazi u ljudsko tijelo kroz rane koje one naprave.
Od 2008. godine, između 16 i 18 milijuna ljudi je zaraženo bolešću, od čega 20.000 ljudi godišnje umre jer Čaga bolest uzrokuje teško oštećenje srca.
Svijet
Plaće u Europi: Gdje se zarađuje najviše?
Početak nove godine idealno je vrijeme za promjenu posla – a visina plaće pritom ima ključnu ulogu u odlukama mnogih zaposlenika. Zanima vas koliko zarađuju vaši europski susjedi?
Siječanj je popularan mjesec za promjene posla jer zaposlenici provode novogodišnje odluke u djelo, a tvrtke prilagođavaju planove zapošljavanja za prvo tromjesečje.
Za mnoge radnike plaća je jedan od najvažnijih čimbenika pri odluci o sljedećem karijernom koraku. Osim očitih razlika među sektorima, plaće se znatno razlikuju i među europskim državama – kako u nominalnim iznosima, tako i kada se prilagode kupovnoj moći, piše Euronews.
Razmišljate o promjeni mjesta boravka, a ne samo poslodavca? Ili vas jednostavno zanima koliko zarađuju vaši susjedi? Prema najnovijim podacima Eurostata za 2024. godinu, ovako se plaće razlikuju diljem Europe.
Prosjek blizu 40.000 eura u EU-u
Prosječna godišnja plaća po zaposleniku u Europskoj uniji iznosi 39.808 eura. Među državama članicama kreće se od 15.387 eura u Bugarskoj do 82.969 eura u Luksemburgu, što je čak 5,4 puta više.
Osim Luksemburga, prosječna plaća viša od 50.000 eura bilježi se još u pet zemalja: Danskoj, Irskoj, Belgiji, Austriji i Njemačkoj.
Na dnu ljestvice, uz Bugarsku, prosječna godišnja plaća po zaposleniku manja je od 20.000 eura u Grčkoj i Mađarskoj.

U mnogim državama velik udio ljudi radi nepuno radno vrijeme, no Eurostat prilagođava podatke kako bi pokazao kolika bi bila prosječna plaća kada bi svi zaposlenici radili puno radno vrijeme.
Podaci pokazuju da su plaće općenito više u zapadnoj i sjevernoj Europi, a niže u istočnoj i jugoistočnoj Europi.
Razlozi razlika u plaćama
Giulia De Lazzari, ekonomistica iz Međunarodne organizacije rada (ILO), istaknula je da su gospodarska struktura i produktivnost država ključni razlozi razlika u plaćama među zemljama.
“Viša produktivnost omogućuje državama isplatu viših plaća“, rekla je za Euronews.
De Lazzari navodi da zemlje s većim udjelom sektora s visokom dodanom vrijednošću, poput financija, IT-a i napredne industrije, u pravilu imaju više plaće od zemalja u kojima je zapošljavanje koncentrirano u sektorima s nižom dodanom vrijednošću. U potonje spadaju, primjerice, poljoprivreda, tekstilna industrija ili osnovne uslužne djelatnosti.
“Snaga i prisutnost sindikata, obuhvat i dubina kolektivnih ugovora te razina zakonski propisane minimalne plaće također značajno utječu na visinu plaća“, dodala je.
Dr. Agnieszka Piasna, viša istraživačica u Europskom institutu za sindikate (ETUI), objasnila je da niska razina sindikalne organiziranosti i viša nezaposlenost vjerojatno slabe pregovaračku moć radnika na tržištu rada.
„To se često navodi kao objašnjenje za nizak udio plaća u mnogim zemljama srednje i istočne Europe, koje imaju neke od najnižih stopa sindikalne organiziranosti u EU-u“, rekla je.
Prosječne plaće prema kupovnoj moći
Razlike su manje kada se plaće promatraju prema standardu kupovne moći (PPS), koji uzima u obzir razlike u troškovima života među državama.
Jedna PPS jedinica teoretski omogućuje kupnju iste količine roba i usluga u svakoj zemlji.
Plaće prilagođene punom radnom vremenu kreću se od 21.644 PPS-a u Grčkoj do 55.051 PPS-a u Luksemburgu. Omjer između najviše i najniže vrijednosti tada se smanjuje na 2,5.
Uz Luksemburg, na vrhu ljestvice su Belgija, Danska, Njemačka i Austrija, sve s više od 48.500 PPS-a.
Pet zemalja s najnižim vrijednostima su Grčka, Slovačka, Mađarska, Bugarska i Estonija, sve ispod 28.000 PPS-a.

De Lazzari iz ILO-a istaknula je da troškovi života i razine cijena utječu na plaće, a posljedično i na visinu zarada. „Zemlje s višim razinama potrošačkih cijena općenito imaju i više nominalne plaće“, rekla je.
Poredak pojedinih zemalja znatno se mijenja kada se uspoređuju iznosi u eurima i prema PPS-u. Primjerice, Rumunjska se penje s 22. na 13. mjesto, ostvarujući znatno bolji rezultat prema kupovnoj moći, dok Estonija pada sa 16. na 22. mjesto kada se uzmu u obzir razlike u cijenama.
Ako se prosječni rast iz posljednjih pet godina nastavi, očekuje se da će prosječna plaća u EU-u u 2025. godini dosegnuti 41.600 eura u nominalnom iznosu, a u 2026. godini 43.400 eura, iako se stope rasta znatno razlikuju među državama.
Svijet
INDEKS SUKOBA 2025. / Ovo su najopasnija mjesta na svijetu
Svijet je i dalje obilježen visokim stupnjem nasilja, a najopasnija žarišta sukoba ostaju Palestina, Ukrajina i Meksiko, pokazuje najnoviji Indeks sukoba organizacije ACLED.
ACLED-ov Indeks sukoba globalna je procjena toga kako se i gdje sukobi u svim državama i teritorijima svijeta razlikuju prema četiri pokazatelja: smrtonosnosti, ugroženosti civila, geografskoj rasprostranjenosti i broju oružanih skupina.
Palestina, Meksiko i Ukrajina
Palestina ima i geografski najrašireniji sukob: ACLED bilježi visoku razinu nasilja na gotovo 70% teritorija Gaze i Zapadne obale.
Mjanmar je najfragmentiraniji sukob na svijetu – više od 1.200 različitih oružanih skupina sudjelovalo je u barem jednom nasilnom incidentu.
Pakistan je u posljednjih 12 mjeseci postao opasniji za civile, a broj smrtnih slučajeva uzrokovanih političkim nasiljem porastao je zbog jačanja regionalnih pobuna i kratkotrajne, ali intenzivne eskalacije sukoba s Indijom.
Haiti je postao smrtonosniji i opasniji za civile: više od 4.500 Haićana ubijeno je u političkom nasilju, dok je porastao i broj ciljanih napada na civile.
Ekvador je također postao smrtonosniji, s više od 1.000 dodatnih smrtnih slučajeva uzrokovanih političkim nasiljem u odnosu na 2024. godinu.
Gdje se događaju sukobi?
ACLED-ov Indeks sukoba rangira 50 najtežih sukoba u svijetu te ih svrstava u kategorije ekstremnih, visokih ili nestabilnih.

Koliko je sukoba prisutno u svijetu?
Razina sukoba ostala je stabilna tijekom proteklih 12 mjeseci. ACLED je zabilježio 204.605 sukobnih događaja od 1. prosinca 2024. do 28. studenoga 2025., u usporedbi s 208.219 događaja u prethodnih 12 mjeseci.
Ti nasilni događaji rezultirali su – prema konzervativnim procjenama – s više od 240.000 smrtnih slučajeva.
Ratovi u Ukrajini i Palestinii dalje su glavni pokretači nasilja te čine više od 40% svih sukobnih događaja u proteklih godinu dana. Građanski ratovi u Mjanmaru i Sudanu ostali su na visokoj razini, a nasilje bandi i dalje potiče sukobe: Brazil, Ekvador, Haiti i Meksiko svrstavaju se među deset zemalja s najtežim oblicima nasilja u svijetu.

Borbe u Siriji nastavile su se unatoč padu Bašara al-Asada, dok u Nigeriji nije bilo predaha od složene mreže regionalnih sukoba. U Pakistanu su pogoršane islamističke i separatističke pobune na periferiji zemlje – dodatno potaknute povremeno eksplozivnim odnosima sa susjedima – dovele do daljnjeg pogoršanja ionako nestabilne sigurnosne situacije.
Kako su se sukobi promijenili?
Iako je pet vodećih zemalja na Indeksu zadržalo svoje pozicije, neki sukobi unutar tih država znatno su se promijenili. Palestina je treće najsmrtonosnije područje na svijetu, unatoč padu broja smrtnih slučajeva povezanih sa sukobima zbog primirja u Gazi. Po smrtonosnosti je nadmašuju samo Ukrajina i Sudan.

Suprotno tome, u Siriji je broj smrtnih slučajeva povezanih sa sukobima – potaknut kombinacijom političkog nadmetanja, sektaškog nasilja i stranog upletanja – porastao s nešto više od 6.000 na više od 9.000 u proteklih 12 mjeseci.
Mjanmar, Meksiko, Brazil i Nigerija ostali su stalno visoko rangirani prema sva četiri pokazatelja Indeksa. Posebno se ističe porast nasilja bandi u Ekvadoru i Haitiju, što je dovelo do njihovog uspona na ljestvici.
Ekvador je porastao na 6. mjesto jer je u proteklih godinu dana više od 50 oružanih skupina aktivno sudjelovalo u nasilju, uključujući gotovo 40 bandi. Više od polovice tih bandi sudjelovalo je u više od 2.500 događaja usmjerenih protiv civila.
Na Haitiju je gotovo udvostručenje broja poginulih i porast napada na civile dovelo do skoka na ljestvici – s 11. mjesta 2024. godine na 8. mjesto ove godine.
Svijet
ALARMANTNO STANJE / Stručnjaci upozoravaju na najgori mogući scenarij dok se u europskoj zemlji širi “super gripa”
Engleski NHS je objavio najnovije podatke o radu sustava – upozoravajući da bi ovaj mjesec mogao donijeti “najgori mogući scenarij”. Razlog je opasni soj gripe koji se ubrzano širi tom zemljom.
NHS Engleske je objavio ažurirane podatke o gripi i bolničkim prijemima, javlja Sky News.
Upozoravaju da zdravstveni sustav prolazi kroz iznimno težak prosinac zbog naglog porasta slučajeva tzv. “super gripe”.
Broj hospitalizacija zbog gripe porastao je za više od polovice u samo tjedan dana, pokazuju novi podaci.
Prošlog tjedna prosječno je 2.660 pacijenata dnevno bilo u bolnicama zbog gripe.
To je najviša brojka ikad zabilježena u ovo doba godine, a ujedno i porast od 55% u odnosu na tjedan ranije.
Vodstvo zdravstvenog sustava upozorava da je broj pacijenata s gripom u bolnicama već znatno porastao i nakon razdoblja koje pokrivaju ovi podaci – te da se vrhunac epidemije još uvijek ne vidi.
Uz eksploziju gripe, broj pacijenata s norovirusom porastao je dodatnih 35%.
NHS sada upozorava da zimski virusi počinju “preplavljivati bolnice”.
Kako se virusi gripe mijenjaju
Ovogodišnja sezona gripe započela je ranije nego inače.
Broj pacijenata oboljelih od gripe koji su završili u bolničkim krevetima diljem Engleske znatno je veći nego prošle godine, pa je NHS poslao “SOS za cijepljenje” ranjivim skupinama.
No koliko je zapravo loša ovogodišnja sezona gripe?
Rekordi srušeni u Australiji
Ukratko – prvi pokazatelji nisu ohrabrujući.
Stručnjaci smatraju da je mutirani soj odgovoran za raniji početak širenja virusa nego što je uobičajeno.
Australska sezona gripe – koja se često koristi kao dobar pokazatelj onoga što čeka Europu – ove je godine oborila rekorde po broju zaraženih.
U regiji Azija-Pacifik također su se pojavili upozoravajući signali: Japan je u listopadu proglasio epidemiju gripe zbog koje su mnoge škole bile zatvorene.
Vrste gripe
Postoje tri vrste gripe: influenca A(H1N1), influenca A(H3N2) i influenca B.
Ove godine problem stvara podtip H3N2.
Virusi gripe stalno evoluiraju u procesu zvanom antigenski drift – zbog toga se cjepiva protiv gripe svake godine prilagođavaju.
Na sjevernoj hemisferi sojevi za cjepiva biraju se u veljači za sljedeću zimu.
No ovaj soj H3N2, točnije varijanta nazvana subklada K, evoluirao je više nego inače tijekom ljeta, pa se razlikuje od verzije na kojoj se temelje ovogodišnja cjepiva, navodi Britanska agencija za zdravstvenu sigurnost (UKHSA).
UKHSA procjenjuje da je prošle zime u Engleskoj od gripe umrlo 7.757 ljudi, u usporedbi s 3.555 godinu ranije.
Broj umrle djece povezan s gripom porastao je s 34 na 53.
Sve u svemu, čelnici NHS-a upozoravaju na izuzetno tešku zimu.
Gotovo tri puta više pacijenata s gripom u londonskim bolnicama
Dr. Chris Streather, regionalni medicinski direktor NHS Engleske za London, izjavio je za Sky News da je ovogodišnja sezona gripe najgora u glavnom gradu od pandemije covid-19.
“Situacija je najteža koju smo imali u bilo kojoj sezoni gripe od pandemije covida. Prošlog tjedna u Londonu smo imali 259 hospitaliziranih pacijenata s gripom. U istom razdoblju prošle godine bilo ih je 89. Dakle, sada ih je gotovo tri puta više nego lani”, rekao je.
Dr. Streather dodao je da dodatnu zabrinutost izaziva činjenica da soj gripe “još ne pokazuje znakove prolaska vrhunca”.
Također je rekao da se ljudi trebaju “vratiti navikama iz vremena COVID-a”, posebno kada je riječ o higijeni ruku.







